La Avenida de Madrid experimenta un proceso de renovación integral desde el pasado mes de mayo, cuando el Concello dio por iniciadas las obras de transformación de esta arteria. Uno de los principales accesos a la ciudad, que está siendo humanizado para incorporarlo al entorno urbano a través de un tráfico más ordenado, la creación de espacios para peatones y, sobre todo, un embellecimiento paisajístico.
Y ese mismo proceso ha estado teniendo consecuencias para los coches que entran y salen de la ciudad durante todo este verano. Las obras de humanización han provocado varias jornadas de retenciones, especialmente en las horas punta de la mañana. Una escena que se ha repetido este mismo jueves, pero esta vez para avanzar en uno de los cambios más importantes en la avenida.
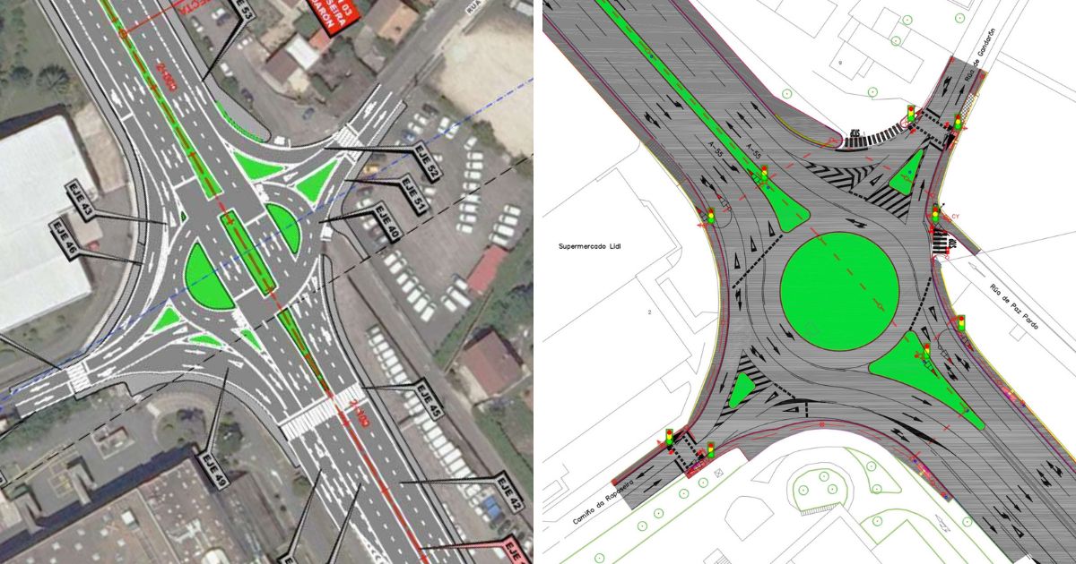
Los conductores que salían de la ciudad han sufrido a primera hora importantes retenciones. Pero, aunque poca gente se ha dado cuenta, esto no se ha debido a obras puntuales sino a los primeros test para la futura Avenida de Madrid. Muchos pensaron que la Policía Local se encontraba en el lugar para aliviar un 'colapso' de tráfico, pero en realidad estaban llevando a cabo las primeras pruebas de lo que será la única "rotonda" de esta vía.
Este mismo jueves, el propio alcalde ha aclarado que, pese a que el proyecto planteaba una glorieta partida, el Concello plantea construir una de tipo clásico. Un elemento que repartirá el tráfico en la intersección entre el Camiño da Raposeira y la calle Gandarón. Así, se busca facilitar a los conductores cambiar de dirección y, además, incorporará una nueva fuente ornamental como broche de oro.

Tal y como se especificaba en el diseño planteado, se pretendía construir tres nuevas isletas ajardinadas, dos de ellas para mejorar la fluidez del tráfico. La otra, por su parte, para aportar un carácter más urbano a esta intersección. Sin embargo, las pruebas que ha iniciado el Concello este mismo jueves apuntan a una rotonda de tipo clásico. Así, se reducirá la velocidad de circulación y se repartirá el tráfico.
Así, esta mañana de jueves se han llevado a cabo los primeros testeos de esa nueva "rotonda", para ver cómo fluye el tráfico por la zona. Un incidente que, si bien ha provocado unas leves retenciones a primera hora, servirá para hacer más eficiente la "nueva" Avenida de Madrid.
El PP considera que el retraso de las visitas teatralizadas de Pereiró "es la enésima prueba de la falta de planificación" del gobierno local
La CIG censura que estos horarios "obligan" al personal "a tener incluso que renunciar a los descansos entre viajes" para cumplirlos
Es el "fenómeno turístico más importante de Galicia que hubo nunca", aseguró este lunes el alcalde, Abel Caballero
El corto acumula ya 22 selecciones en festivales, tanto en España como en lugares tan lejanos como Guatemala, Inglaterra, India o Colombia
Prevén que la descentralización empezaría a implantarse de forma progresiva el curso que viene, durante un plazo de tres años
Puedes encontrarnos en nuestras redes sociales o, si lo prefieres, ponerte en contacto con nosotros a través de contacto@metropolitano.gal
Saber todo lo que ocurre en Vigo y su área metropolitana es ahora más sencillo, rápido y directo gracias al nuevo servicio de alertas de WhatsApp de Metropolitano.gal
© Hansei Media SL